Overview
- Updated On:
- 12 kwietnia, 2026
- 37,240 m2
Description
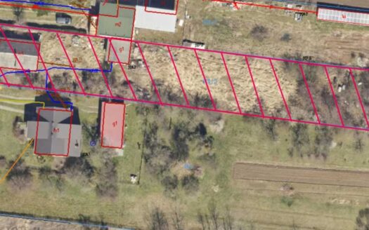
Teren o powierzchni 37 240 m2 bezpośrednio przy trasie Poznańskiej (DK92 Warszawa – Poznań) i utwardzonej drodze gminnej z obowiązującym MPZP.
Do planowanego Centralnego Portu Lotniczego Baranów i kolei dużych prędkości 12 km . Do Autostrady A-2 (Węzeł Tłuste) odległość 9 km. Miejscowości Błonie- 3 km, Warszawa – 22 km.
Ukształtowanie terenu :Prostokąt :Szerokość 142 m x 280 m. Media: Prąd, Woda, Kanalizacja, Gaz, Telekomunikacja.
Obowiązujący MPZP(Miejscowy plan zagospodarowania przestrzennego) :
Teren Usługowo Przemysłowy i Mieszkaniowo Usługowy.
Księga wieczysta.
Telefon : + 48 503 613 442 e-mail: piorunow17@wp.pl
Energy Class: A+
Energy class A+
A+A
B
C
D
E
F
G
H
Property Id : 199944
Price: 13.406.400 zł
Property Size: 37,240 m2
Other Features
inwestycyjna
piętro: /
rok budowy:
rynek:
68,737.27 zł
per month- Principal and Interest
- Property Tax
- HOA fee
51,979.27 zł
wt.
14
kwi
śr.
15
kwi
czw.
16
kwi
pt.
17
kwi
sob.
18
kwi
niedz.
19
kwi
pon.
20
kwi
wt.
21
kwi
śr.
22
kwi
czw.
23
kwi
Your information
Property Reviews
zzzWrite a Review
Similar Listings
DZIAŁKA BUDOWLANA BLISKO CENTRUM RADZYMINA
604 m2
Działka budowlane w Radzyminie, na terenie objętym Planem Zagospodarowania Przestrzennego. działka z ...
Działka inwestycyjna 3258 m² Cekanowo g.Biel...
3,258 m2
DZIAŁKA INWESTYCYJNA 3258 m² – WZ NA 6 LOKALI | 20 MIN OD PŁOCKA Cekanowo / Jączewo – gmina Bielsk, ...
udział 1/2 w nieruchomości w miejscowości Pt...
3,700 m2
Syndyk masy upadłości Kamila Kulikowskiego, osoby fizycznej nieprowadzącej działalności gospodarczej ...
Działka budowlana z zabudowaniami do rozbiór...
2,337 m2
Działka budowlana z dwoma budynkami w złym stanie technicznym do rozbiórki, położona w ścisłej zabud ...









