Overview
- Updated On:
- 8 kwietnia, 2026
- 1,219 m2
Description
Syndyk masy upadłości „Kotex” spółki z ograniczoną odpowiedzialnością w upadłości z siedzibą w Wadowicach, sygn. akt: KR1S/GUp/97/2024 zaprasza do składania pisemnych ofert
Sprzedaż nastąpi przy zachowaniu przepisów ustawy Prawo upadłościowe zgodnie z zezwoleniem Sędziego – Komisarza z dnia 12 marca 2026 r. w trybie art. 311 ust. 1 w zw. z art. 206 ust. 1 pkt 3
w zw. z art. 213 ust. 1 Prawa upadłościowego.
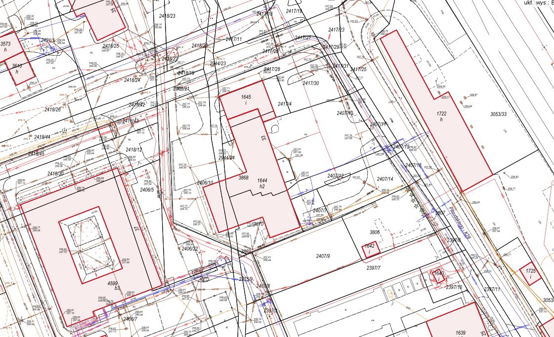
Przedmiotem sprzedaży jest prawo własności nieruchomości gruntowych położonych w Wadowicach, gmina Wadowice, powiat wadowicki, województwo małopolskie.
– konkurs na sprzedaż prawa własności nieruchomości gruntowej położonej w Wadowicach, składającej się z działek ewidencyjnych o numerach 2407/7, 2407/12, 2407/14, 3869 oraz 3870 o łącznej powierzchni 0,1063 ha, dla której Sąd Rejonowy w Wadowicach V Wydział Ksiąg Wieczystych prowadzi księgę wieczystą o numerze KR1W/00058014/2, cena wywoławcza 968.192,00 zł netto.
– konkurs na sprzedaż prawa własności nieruchomości gruntowej położonej w Wadowicach, składającej się z działek ewidencyjnych o numerach 2417/4, 2407/10, 3868, 2417/28, 2417/29, 2417/30 oraz 2417/31 o łącznej powierzchni 0,2074 ha, dla której Sąd Rejonowy w Wadowicach V Wydział Ksiąg Wieczystych prowadzi księgę wieczystą o numerze KR1W/00032495/9, cena wywoławcza 1.889.109,00zł netto.
– konkurs na sprzedaż prawa własności nieruchomości gruntowej położonej w Wadowicach, składającej się z działek ewidencyjnych o numerach 2406/10 i 2944/24 o łącznej powierzchni 0,1015 ha, dla której Sąd Rejonowy w Wadowicach V Wydział Ksiąg Wieczystych prowadzi księgę wieczystą o numerze KR1W/00065516/3, cena wywoławcza 924.699,00 zł netto.
Cena wywoławcza całości wynosi łącznie 3.782.000,00 zł netto. Nieruchomości stanowią zorganizowaną całość gospodarczą, nie istnieje możliwość kupna działek osobno.
Warunkiem uczestnictwa w pisemnym konkursie ofert jest złożenie pisemnej oferty zgodnej z regulaminem konkursu dostępnym w biurze syndyka (Biuro przy ul. św. Marka 7-9 lok. 2 w Krakowie) i wpłacenie wadium w wysokości 10% ceny wywoławczej (tj, kwotę 378.200,00 zł) na rachunek bankowy w Bank Pekao S.A. numer 31 1240 4197 1111 0000 4694 6399 oraz dołączenie potwierdzenia przelewu do oferty.
Oferty proszę składać w terminie do dnia 29 kwietnia 2026 r. do godziny 15:00 w biurze syndyka 31-012 Kraków, ul. św. Marka 7-9 lok. 2, lub pocztą listem poleconym w kopercie oznaczonej „Oferta konkurs – Kotex Wadowice, sygn. akt KR1S/GUp/97/2024” z dopiskiem „NIE OTWIERAĆ” (decyduje data wpływu).
Przeprowadzenie konkursu nastąpi w dniu 30 kwietnia 2026 r. o godzinie 12:00 w biurze syndyka.
Szczegółowe informacje o nieruchomościach oraz szczegółowych warunkach konkursu ofert i ewentualnych licytacjach, w tym wymogach formalnych oferty, czy innych warunkach sprzedaży dostępne są w Regulaminie konkursu. Informacje można uzyskać w godzinach 9:00-15:00 osobiście w Biurze syndyka, a także pocztą elektroniczną. Zapytania proszę kierować na adres e-mail: kancelaria@dkkg.pl. Syndyk zastrzega sobie prawo odwołania lub zamknięcia konkursu bez wybrania oferty, swobodnego wyboru oferty bez przeprowadzenia licytacji jak również unieważnienia konkursu lub licytacji bez podania przyczyny.
- Principal and Interest
- Property Tax
- HOA fee











